国徽

热点查询: 财政预决算 政府工作报告 优化营商环境 投资政策

当前位置:首页> 信息公开 > 拟收储入库公告

拟收储入库公告

发布日期:2024-06-03 03:47 浏览量:72329 来源:县自然资源局
[ 字体: ]
分享:

广大群众及相关权利人:

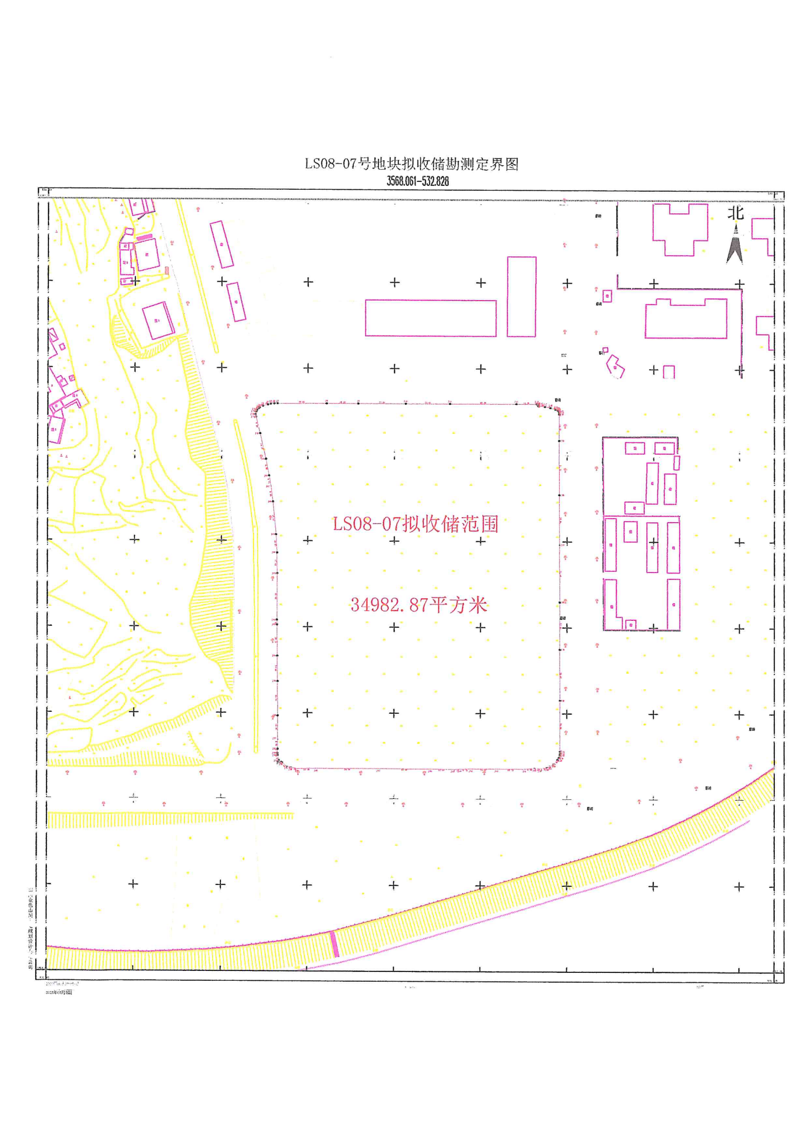
经县德赢VWIN批准,我局计划依照青川县竹园镇LS08-07地块规划,将2011-43号划拨决定书中划拨给竹园镇德赢VWIN使用的,位于竹园镇梁沙村国有建设用地使用权34982.87平方米无偿收回,纳入县德赢VWIN土地储备库,依规另行利用,如有未尽事宜,请相关权利人自本公告之日起15日内持相关材料到青川县自然资源局四楼县土地矿权收购储备交易中心提出异议主张权益,逾期不提交相关权属材料的视为自动放弃,我局将按照《土地储备管理办法》相关条款进行收储入库。(范围详见拟收储范围示意图,咨询电话: 7203009)。

特此公告。


青川县自然资源局

2024年5月31日

扫一扫在手机打开当前页